Okulların Kasım ayındaki ilk ara tatili ne zaman başlayacağı merak konusu oldu. Öğrenciler ve veliler, ara tatilin...
Isparta'da gerçekleştirilen operasyonlarda kaçak elektronik cihazlar ve 33,5 litre alkol ele geçirildi.
Bayrampaşa Belediye Başkan Yardımcısı Lütfi Kadıoğulları'nın Silivri Devlet Hastanesi’ne kaldırıldığı açıklandı. Kadıoğulları'nın tedavisi sürüyor.
İstanbul, milyonlarca insanın yaşadığı, her köşesinde farklı bir hikaye barındıran dev bir metropol. Bu şehirde yaşamak...
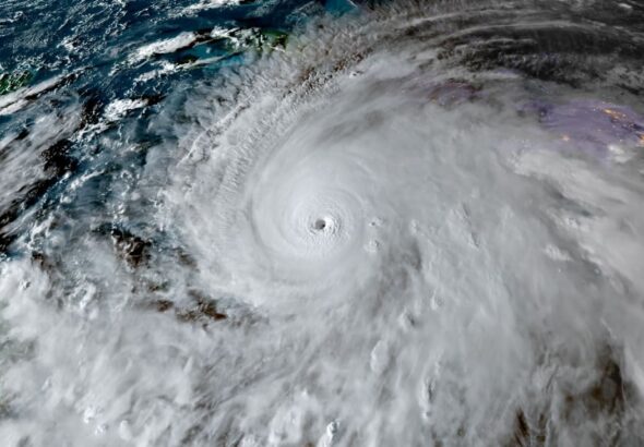
ABD Ulusal Kasırga Merkezinden yapılan duyuruda, Atlantik Okyanusu üzerinde ilerleyen Melissa Kasırgası'nın rüzgar hızının saatte 295 kilometreye...
Ajda Pekkan sadece bir şarkıcı değil; her döneme damga vuran, modayı da müziği de dönüştüren bir ikon....
Rusya: Putin-Trump zirvesinin somut sonuçlara yol açacağına dair garantilere ihtiyacımız var
İstanbul Pendik'te özel bir hastanenin çatısında yangın çıktı. Yangına, itfaiye ekiplerinin müdahalesi sürüyor.
İstanbul merkezli 11 ilde, FETÖ/PDY soruşturmaları kapsamında düzenlenen operasyonda 22 şüpheli yakalanarak gözaltına alındı.
MHP Havza İlçe Başkanlığı, mahalle sakinleriyle terörsüz Türkiye hedefini tartıştı.
CHP’li Gülcan Kış, "Vatandaş ev kirasını ödemek için bile bankalardan borç çekiyor" dedi.
DÜN Malezya’dan Japonya’ya doğru Air Force One uçağında yolculuk yaparken gazetecilerin sorularını yanıtlayan ABD Başkanı Donald Trump,...
AFAD'ın bildirdiğine göre Balıkesir'in Sındırgı ilçesinde dün gece saatlerinde meydana gelen 6,1 büyüklüğündeki depremin ardından saat 02.30'da...
Memişoğlu şu ifadeleri kullandı: "Balıkesir’de meydana gelen ve çevre illerde de hissedilen depremde, doğrudan deprem kaynaklı bir...