melissa kasirgasi jamaikaya ulasti hizi 295 kilometreye cikti uxbKIDvg.jpg
Amerika Birleşik Devletleri’nde Melissa Kasırgası Paniğe Neden Oldu
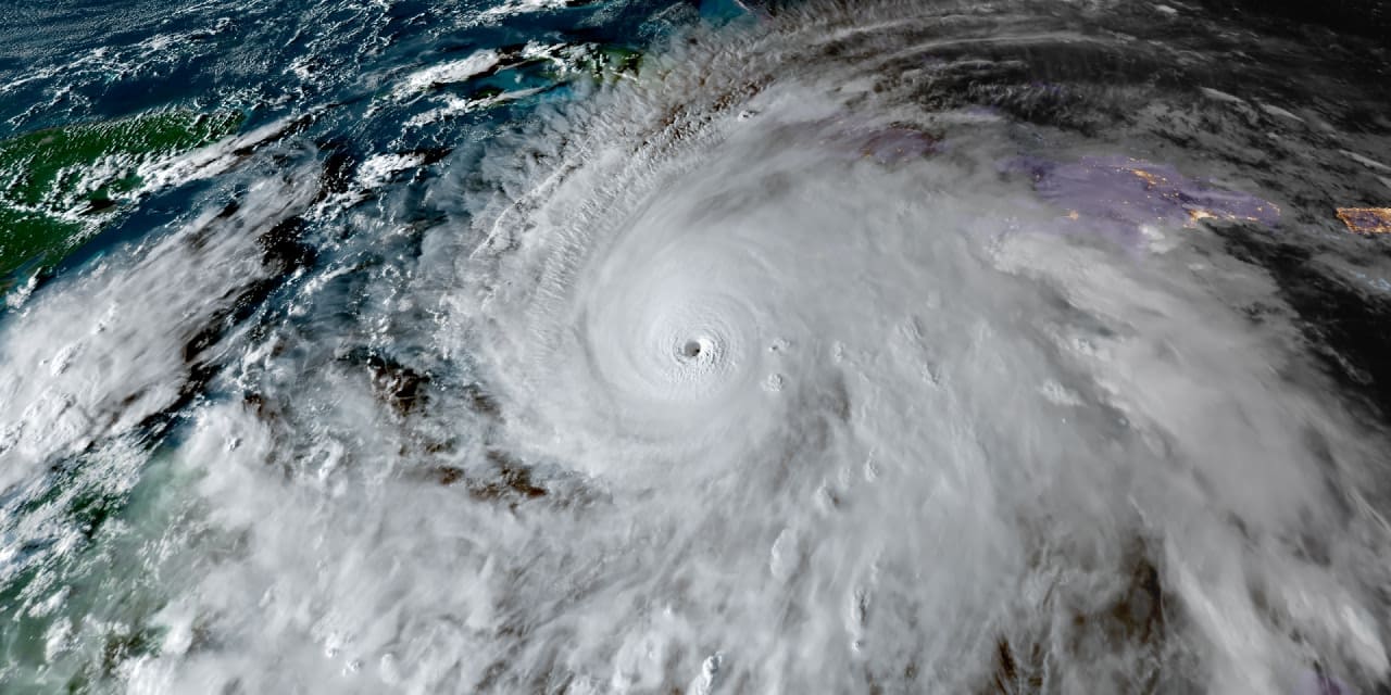
Amerika Birleşik Devletleri Ulusal Kasırga Merkezi tarafından yapılan açıklamaya göre, Atlantik Okyanusu üzerinde ilerleyen Melissa Kasırgası’nın saatte 295 kilometreye kadar ulaşan rüzgar hızına ulaştığı belirtildi.
Kasırga New Hope Bölgesini Vurdu
Kasırganın, Jamaika’nın güneybatı kesimindeki New Hope bölgesine ulaştığı bildirildi. Yetkililer, kasırganın son derece tehlikeli ve ölümcül olduğunu vurgulayarak vatandaşları sığınaklardan ayrılmamaları konusunda uyardı.
Yetkililerden Halka Uyarı
Jamaika Afet Risk Yönetimi Konseyi Başkan Yardımcısı Desmond McKenzie, vatandaşları sığınaklara gitmeye ve evlerini terk etmemeye çağırdı. Jamaika Başbakanı Andrew Holness ise ülkede 1850’li yıllardan bu yana görülen en güçlü kasırgaya dayanabilecek altyapının olmadığını belirterek toparlanma sürecinin hızına dikkat çekti.
1850’li Yıllardan Bu Yana En Güçlü Kasırga
Jamaika Meteoroloji Kurumu yetkilileri, ülkede 1850’li yıllardan bu yana görülen en güçlü kasırga olan Melissa’ya karşı tüm önlemlerin alındığını ancak yıkıcı etkilerin kaçınılmaz olduğunu söyledi. ABD Ulusal Kasırga Merkezi’nden yapılan açıklamada ise Melissa Kasırgası’nın “5. Kategori” yani en tehlikeli seviyeye ulaştığı bildirilmişti.